トラック諸島で発生した台風4号の卵。
トラック諸島に被害を出し、マリアナ諸島に接近中。
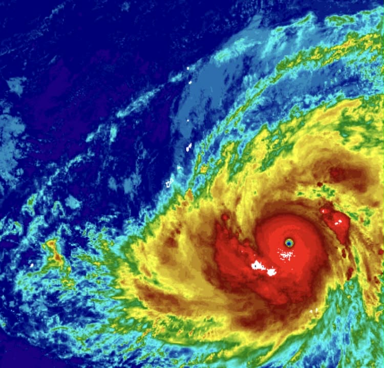
「台風4号・Shinlaku・920hpa」

(画像中央がサイパン)
明日の15時前後から48時間をかけてサイパン上空を通過する模様。

風上となる東の窓・・・

完全封鎖。

何をしても、シャッターも玄関も飛ぶときは飛びます。
サイパン時間21時、非常に静か♪
・・・明日夕方からかな。
南の島の台風、すごいのよ♪
*避難所開設
*価格統制令発令(値上げ禁止)
*国際便全便キャンセル
・・あら、「Super typhoon」 に格上げされた。
************************
「予約受付終了日」
「2026年」
5月4日
「まもなく予約受付終了」
無し
******
「にほんブログ村」
*********
「アクアデルレイ・INSTAGRAM」
**********
「ケイコの島内観光・INSTAGRAM」
(plumeria island tour)
**********
「アクアデルレイ・FACEBOOK